 |
|
02.04.2011, 17:08
|
#1
|
|
Живу я тут
Реєстрація: 14.05.2010
Звідки Ви: Kherson
Дописи: 1.153
сказав Дякую: 840
сказали Дякую 819 раз(и) в 426 повідомленні
|
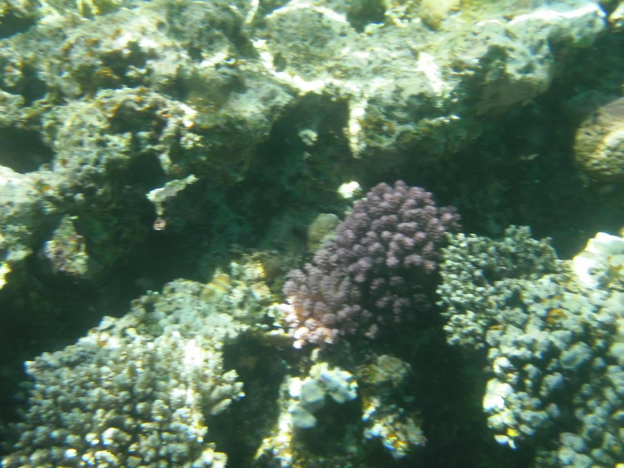
Шарм ел Шейх Coral Bay конец марта 2011 ===www.aquaforum.ua===
Немножко фото подводного мира Красного моря.
Несколько комментарий.
1. Акул не видел хотя глупо думать, что их там нет.
2. Если еще кораллов можно набрать 100 видов по кусочку в 200 литров воды, то для разнообразных рыб не хватит и 10 тонн воды.
3. Раньше плавая над кораллами просто любовался их видом и разнообразием, а сейчас зная магазинную цену, постоянно присутствовала мысль, что плаваю над дном, усыпанным 100 долларовыми купюрами.
4. ИМХО цена в рознице на кораллы просто космически завышена ибо их в море как сорняка в огороде.
5. Рассказать на словах красоту не возможно.
6. Из очень красивых рыб отмечу две. Одна похожа на кузовка, размеров 15 см и темно сине-фиолетового цвета. Плавала в одиночку.
Маленькая стайка ( 5 шт )рыбок, похожих на докторов, но ярко синего цвета тело и плавники.
На длину примерно 50 метров обнаружил всего одну актинию и парочку клоунов. Папа клоун примерно 6 см все время сидел в актишке, а мама клоун была примерно 12-15 см и позволяла себе плавать в метре от дома.
Востаннє редагував Mistreated_: 02.04.2011 о 17:22..
|
|
|
|
Ці 2 користувач(ів) сказали Дякую Mistreated_ за це повідомлення:
|
|
02.04.2011, 17:24
|
#2
|
|
Живу я тут
Реєстрація: 07.06.2009
Звідки Ви: Ужгород
Дописи: 344
сказав Дякую: 352
сказали Дякую 112 раз(и) в 75 повідомленні
|
Re: Шарм ел Шейх Coral Bay конец марта 2011 ===www.aquaforum.ua===
Добрый день. Как раз хотел создать тему по поводу Египта. Если будет возможность отдихать в етой стране, можно ли что то от туда вывезти??? (Живые камни, корали....стромбуси)
|
|
|
02.04.2011, 17:28
|
#3
|
|
Живу я тут
Реєстрація: 14.05.2010
Звідки Ви: Kherson
Дописи: 1.153
сказав Дякую: 840
сказали Дякую 819 раз(и) в 426 повідомленні
|
Re: Шарм ел Шейх Coral Bay конец марта 2011 ===www.aquaforum.ua===
Еще фото.
|
|
|
02.04.2011, 17:39
|
#4
|
|
Живу я тут
Реєстрація: 14.05.2010
Звідки Ви: Kherson
Дописи: 1.153
сказав Дякую: 840
сказали Дякую 819 раз(и) в 426 повідомленні
|
Re: Шарм ел Шейх Coral Bay конец марта 2011 ===www.aquaforum.ua===
Отдыхать можно и нужно.
Отели полупустые. Самые лучшие цену у Пегаса.
Вывоз кораллов запрещен и можно попасть на штраф. Так, что на Ваш страх и риск.
|
|
|
|
cказали "Дякую" Mistreated_ за цей допис:
|
|
02.04.2011, 17:43
|
#5
|
|
Живу я тут
Реєстрація: 07.06.2009
Звідки Ви: Ужгород
Дописи: 344
сказав Дякую: 352
сказали Дякую 112 раз(и) в 75 повідомленні
|
Re: Шарм ел Шейх Coral Bay конец марта 2011 ===www.aquaforum.ua===
ну камни как би не считаются кораллами,))) 
|
|
|
02.04.2011, 17:44
|
#6
|
|
Живу я тут
Реєстрація: 14.05.2010
Звідки Ви: Kherson
Дописи: 1.153
сказав Дякую: 840
сказали Дякую 819 раз(и) в 426 повідомленні
|
Re: Шарм ел Шейх Coral Bay конец марта 2011 ===www.aquaforum.ua===
Там вроде даже песок нельзя вывозить. Перечень есть.
|
|
|
02.04.2011, 17:49
|
#7
|
|
Живу я тут
Реєстрація: 07.06.2009
Звідки Ви: Ужгород
Дописи: 344
сказав Дякую: 352
сказали Дякую 112 раз(и) в 75 повідомленні
|
Re: Шарм ел Шейх Coral Bay конец марта 2011 ===www.aquaforum.ua===
 плохо...
|
|
|
02.04.2011, 17:49
|
#8
|
|
Живу я тут
Реєстрація: 14.05.2010
Звідки Ви: Kherson
Дописи: 1.153
сказав Дякую: 840
сказали Дякую 819 раз(и) в 426 повідомленні
|
Re: Шарм ел Шейх Coral Bay конец марта 2011 ===www.aquaforum.ua===
Мягких кораллов практически нет. Только несколько Саркофитонов, а остальное мелокополипные жесткие.
|
|
|
|
cказали "Дякую" Mistreated_ за цей допис:
|
|
02.04.2011, 17:59
|
#9
|
|
Живу я тут
Реєстрація: 14.05.2010
Звідки Ви: Kherson
Дописи: 1.153
сказав Дякую: 840
сказали Дякую 819 раз(и) в 426 повідомленні
|
Re: Шарм ел Шейх Coral Bay конец марта 2011 ===www.aquaforum.ua===
Еще одна.
|
|
|
02.04.2011, 19:08
|
#10
|
|
Живу я тут
Реєстрація: 10.01.2010
Звідки Ви: Одесса
Дописи: 1.532
сказав Дякую: 471
сказали Дякую 1.170 раз(и) в 557 повідомленні
|
Re: Шарм ел Шейх Coral Bay конец марта 2011 ===www.aquaforum.ua===
Цитата:
Допис від Mistreated_
Раньше плавая над кораллами просто любовался их видом и разнообразием, а сейчас зная магазинную цену, постоянно присутствовала мысль, что плаваю над дном, усыпанным 100 долларовыми купюрами.
|
тоже чувство, руки так и чешутся что то отломать и забрать с собою 
__________________
DEEP BLUE OCEAN
|
|
|
02.04.2011, 19:09
|
#11
|
|
Живу я тут
Реєстрація: 10.01.2010
Звідки Ви: Одесса
Дописи: 1.532
сказав Дякую: 471
сказали Дякую 1.170 раз(и) в 557 повідомленні
|
Re: Шарм ел Шейх Coral Bay конец марта 2011 ===www.aquaforum.ua===
Цитата:
Допис від Mistreated_
ИМХО цена в рознице на кораллы просто космически завышена ибо их в море как сорняка в огороде.
|
согласен на 200%
__________________
DEEP BLUE OCEAN
|
|
|
02.04.2011, 22:08
|
#12
|
|
Живу я тут
Реєстрація: 16.05.2008
Звідки Ви: харьков
Дописи: 894
сказав Дякую: 724
сказали Дякую 1.377 раз(и) в 446 повідомленні
|
Re: Шарм ел Шейх Coral Bay конец марта 2011 ===www.aquaforum.ua===
Цитата:
Допис від Роман Одесса
согласен на 200%
|
А я категорически несогласен.
Домашние рифы на Красном море выглядят очень плачевно. Видовой состав крайне беден. И не последнюю роль в этом занимают йолопы, которые считают своим долгом что-нибудь сломать на память.
__________________
8-067-578-46-35
|
|
|
|
Ці 14 користувач(ів) сказали Дякую stas Alpin за це повідомлення:
|
***шерхан*** (03.04.2011), Biocon (04.04.2011), Dimitri (03.04.2011), DQV_DISCUS (17.04.2011), kapucin (12.05.2011), michail (04.04.2011), Peskar (22.05.2011), SergeyM (03.04.2011), Skif (05.04.2011), y@roslav (03.05.2011), Yarick (02.04.2011), Анатолий (03.04.2011), Гарик (11.04.2011), Йоки (07.05.2011) |
03.04.2011, 03:04
|
#13
|
|
Член Всеукраїнської Асоціації акваріумістів
Реєстрація: 05.08.2003
Звідки Ви: Киев
Дописи: 200
сказав Дякую: 343
сказали Дякую 495 раз(и) в 144 повідомленні
|
Re: Шарм ел Шейх Coral Bay конец марта 2011 ===www.aquaforum.ua===
Цитата:
Допис від Роман Одесса
согласен на 200%
|
Я не согласен. На SPS, LPS (даже если они выращены на ферме) и ЖК необходимо получить CITES, а это дополнительные финансовые затраты и квоты тоже. Без этого документа официально завезти необходимый коралл невозможно.
Извините, но мы опять придем к теме, что эти проклятые поставщики (подпольные миллионеры) устанавливают заоблачные цены, хотя в море всего так много и бесплатно, а если посмотреть прайсы поставщиков (читать экспортеров), так и не нужно самим везти (дабы не нарушать законы страны прибывания на отдыхе), стоит только заказать понравившихся животных и все.
С уважением, Сергей Марченков.
__________________ 
|
|
|
|
Ці 8 користувач(ів) сказали Дякую SergeyM за це повідомлення:
|
|
03.04.2011, 12:59
|
#14
|
|
Придивляюся
Реєстрація: 02.11.2010
Звідки Ви: Симферополь
Дописи: 57
сказав Дякую: 18
сказали Дякую 39 раз(и) в 23 повідомленні
|
Re: Шарм ел Шейх Coral Bay конец марта 2011 ===www.aquaforum.ua===
Цитата:
Допис від Роман Одесса
тоже чувство, руки так и чешутся что то отломать и забрать с собою 
|
Так то наоборот у меня. Только после того как стал мореводом, понял почему египтяне так свои рифы охраняют. И именно от русских, т.е.
и от нас тоже. Только на русском крупными буквами написано: "Кораллы не трогать. Рыб не кормить!"
Мой отдых в Египте тут http://www.aqualogo.ru/phpbb2/index.php?showtopic=16483
__________________
Удачи...
|
|
|
|
cказали "Дякую" Стинг за цей допис:
|
|
04.04.2011, 03:37
|
#15
|
|
Член Всеукраїнської Асоціації акваріумістів
Реєстрація: 05.08.2003
Звідки Ви: Киев
Дописи: 200
сказав Дякую: 343
сказали Дякую 495 раз(и) в 144 повідомленні
|
Re: Шарм ел Шейх Coral Bay конец марта 2011 ===www.aquaforum.ua===
Цитата:
Допис від Стинг
Так то наоборот у меня. Только после того как стал мореводом, понял почему египтяне так свои рифы охраняют. И именно от русских, т.е.
и от нас тоже. Только на русском крупными буквами написано: "Кораллы не трогать. Рыб не кормить!"
Мой отдых в Египте тут http://www.aqualogo.ru/phpbb2/index.php?showtopic=16483
|
Полностью согласен, хотя " отморозков " импортных тоже хватает, а может даже на сегодняшний день и больше. Наверное потому, что их путешествует больше, а культура поведения на рифе отличается только тем что они всего боятся, а тот кто занимается дайвингом или снорклингом соблюдают все правила.
Я думаю, что развитие морской аквариумистики это большое подспорье в сохранении рифов (большинство кораллов сейчас фрагуется, крупные поставщики имеют фермы по разведению кораллов и рыбы, а не рубят риф как раньше и тд.). Да и любой моряк будучи на отдыхе наверняка будет бережно относиться ко всему окружающему. Поэтому мы являемся небольшой капелькой в море мероприятий по сохранению рифов.
Утомил. Согласен. Наболело.
С уважением, Сергей Марченков.
__________________ 
|
|
|
|
Ці 7 користувач(ів) сказали Дякую SergeyM за це повідомлення:
|
|
 |
|
|
Тут присутні: 1 (учасників - 0 , гостей - 1)
|
|
|
Ваші права у розділі
|
Ви не можете створювати теми
Ви не можете писати дописи
Ви не можете долучати файли
Ви не можете редагувати дописи
HTML код Вимк.
|
|
|
Часовий пояс GMT +3. Поточний час: 19:48.
|